Land for sale in CONLIE – 2581 to 4416 m²

Land | Sale | 23 290 m2 | CONLIE (72240)

It’s what I’m looking for

I want to visit this property

It's great, but...

We take care of everything
1

Description

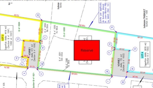
ID: 2000753

3 serviced plots from 2,581 to 4,416 m² (divisible),

Type of property:Land
2

In pictures

×
3

Technical specifications

Plot

Available surface area : 23290 m²

Max plot available 4416 m2

Min plot available 2581 m2

Vocation : Industrielle, Services

Access

  • close to the RD 304 (Le Mans -Sillé le Guillaume)
  • 25 minutes northwest of Le Mans (TGV train station)
  • 17.5 km from the A28 (Tours/Rouen route)
  • 17.5 km from the A11 (Paris/Nantes route)
  • 18 km from the A81 (Le Mans/Rennes route)

Broadband/digital facilities: fibre optic

Sanitation: separate